Florida

Uncategorized

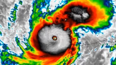
Uragano Milton Negli USA: La Situazione Attuale e il Fenomeno della “Faccia da Diavolo”

L’Arrivo dell’Uragano MiltonTestimonianze DiretteLa Faccia da DiavoloLe Conseguenze ImmediateRiflessioni sul Cambiamento ClimaticoLa Risposta delle Autorità Negli ultimi giorni, l’uragano Milton…

Leggi di più »
Pulsante per tornare all'inizio